El huracán Melissa golpea Jamaica con furia y amenaza con “impactos catastróficos” en el Caribe Oriental​

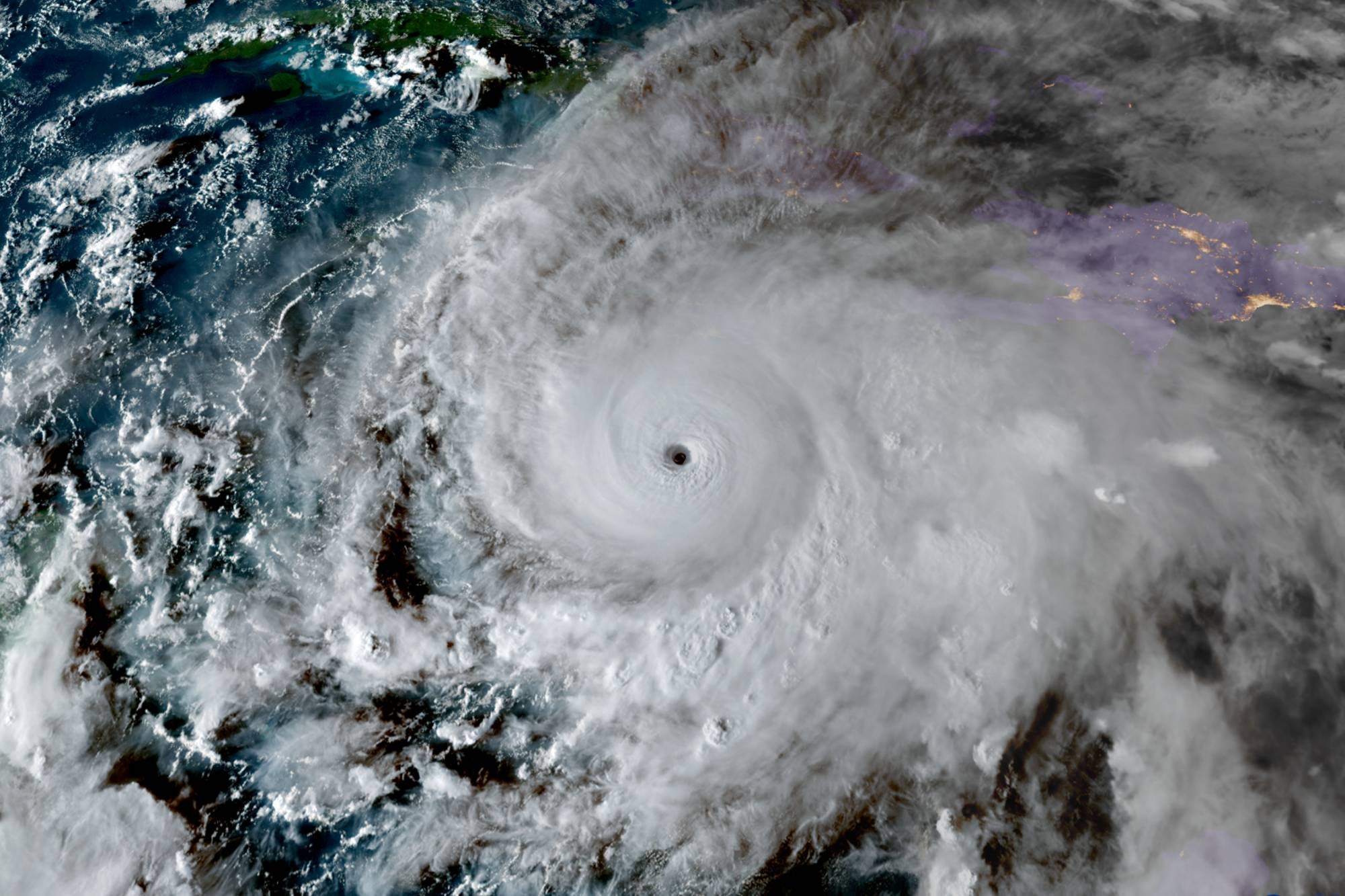
KINGSTON.- El huracán Melissa comenzó a azotar Jamaica este lunes con violentas ráfagas, y el Centro Nacional de Huracanes de Estados Unidos (NHC, por sus siglas en inglés) lo elevó a categoría 5, con vientos sostenidos de hasta 270 kilómetros por hora. Se trata del fenómeno más poderoso que ha golpeado a la isla caribeña desde que existen registros meteorológicos.

“No se aventuren fuera de su refugio seguro”, advirtió el NHC en su comunicado matutino y luego detalló sobre los “efectos catastróficos” que podría tener el huracán en Jamaica. Mientras, las autoridades jamaiquinas insistían en la urgencia de evacuar las zonas costeras. “Evacúen hoy, porque las condiciones van a deteriorarse”, remarcó la primera ministra Dana Morris Dixon, en un mensaje televisado que buscó convencer a los reacios a abandonar sus hogares.

En tanto, al menos tres personas murieron y otras trece resultaron heridas en distintas zonas del país caribeño durante las tareas de preparación previas a la llegada del huracán Melissa. Según informó el ministro de Salud, Christopher Tufton, las víctimas fallecieron por accidentes vinculados con la caída de árboles o descargas eléctricas, mientras que la mayoría de los heridos sufrió golpes y caídas al intentar asegurar viviendas.

Según el último parte del NHC, al mediodía del lunes Melissa se encontraba a 230 kilómetros al suroeste de Kingston y avanzaba lentamente hacia el oeste a unos 5 kilómetros por hora. Se espera que gire hacia el norte-noreste entre la noche del lunes y el martes, cruzando el territorio jamaiquino y luego desplazándose hacia el este de Cuba, las Bahamas y las Islas Turcas y Caicos, antes de dirigirse a las Bermudas hacia el final de la semana.

NHC Director Dr. Michael Brennan warns on the catastrophic impacts from Major Hurricane #Melissa expected to make landfall early Tuesday morning along the south coast of Jamaica.

Keep track of the forecast at https://t.co/sYVOB3gScg pic.twitter.com/S5MR4fbroC

— National Hurricane Center (@NHC_Atlantic) October 27, 2025

El lento desplazamiento sobre aguas excepcionalmente cálidas del Caribe permitieron que la tormenta se intensifique hasta niveles catastróficos. Los pronosticadores alertaron sobre la posibilidad de vientos devastadores, marejadas ciclónicas y hasta 90 centímetros de lluvia, lo que podría provocar inundaciones y deslizamientos de tierra de magnitud inédita.

“Esto provocará grandes daños en las infraestructuras, cortes de electricidad y comunicaciones de larga duración, y comunidades aisladas”, señaló el NHC. En las últimas horas, los efectos del huracán ya se sentían con fuerza en toda la isla.

27 Oct 11AM EDT: @NOAA_HurrHunter @53rdWRS find #Melissa Stronger. Catastrophic and life-threatening winds, flooding, and storm surge expected on Jamaica tonight and early Tuesday. Here are the latest Key Messages. pic.twitter.com/lGfY0FfZRr

— National Hurricane Center (@NHC_Atlantic) October 27, 2025

“Estoy realmente preocupado por la gente. Necesitaremos ayuda lo antes posible, especialmente agua para la población”, dijo a la agencia AFP Enrico Coke, un agricultor que se refugió en un bar de Flagaman, en el sur del país.

En el pueblo montañoso de Hagley Gap, en las Montañas Azules, las lluvias torrenciales dejaron caminos intransitables. “No podemos movernos. Estamos asustados. Nunca habíamos visto un evento de varios días como este”, contó Damian Anderson, un profesor local de 47 años.

Jamaica ha enfrentado huracanes severos en el pasado —como el Gilbert, de categoría 4, en 1988—, pero nunca uno de categoría 5, la máxima en la escala Saffir-Simpson, reservada para vientos sostenidos superiores a los 250 km/h.

Más de medio millón de evacuados

Mientras Jamaica resiste el impacto directo, Cuba activó una operación de emergencia en su mitad oriental. Las autoridades informaron que más de 500.000 personas fueron evacuadas de zonas costeras y montañosas vulnerables a los vientos e inundaciones.

En los alrededores de Santiago de Cuba, ciudad de un millón de habitantes que se encuentra en la posible trayectoria del huracán, 250.000 personas fueron trasladadas a refugios. El gobierno suspendió clases, transporte público y actividades laborales en toda la región oriental.

“Esta es una apuesta que no se puede ganar. No se puede apostar contra Melissa”, advirtió el ministro de Gobierno Local jamaicano, Desmond McKenzie, al anunciar la apertura de cientos de refugios en todo el país.

El aeropuerto internacional de Kingston cerró el sábado por la noche, al igual que todos los puertos marítimos. Las autoridades meteorológicas prevén marejadas ciclónicas de hasta cuatro metros a lo largo de la costa sur, lo que podría agravar el impacto del temporal.

El huracán ya dejó cuatro muertos durante su avance por el Caribe: tres en Haití y uno en República Dominicana, donde además un adolescente se encuentra desaparecido. Las lluvias torrenciales de los últimos días provocaron aludes y crecidas repentinas en varios puntos de esos países.

“Te sientes impotente, incapaz de hacer nada, solo correr y dejar todo atrás”, relató Angelita Francisco, una ama de casa de 66 años que huyó de su vecindario en Santo Domingo ante las inundaciones.

Una amenaza prolongada

El NHC advirtió que los efectos de Melissa podrían prolongarse por dos o tres días, dejando a varias comunidades incomunicadas. “Los habitantes de las zonas afectadas deberán permanecer resguardados en sus hogares durante largo tiempo”, explicó el subdirector del organismo, Jamie Rhome.

Aunque el huracán se mantendría lejos de la costa continental de Estados Unidos, los meteorólogos prevén oleaje fuerte e inundaciones menores en el litoral atlántico norteamericano.

Melissa es la decimotercera tormenta con nombre de la actual temporada de huracanes del Atlántico, que se extiende de junio a noviembre, y ya figura entre las más intensas registradas en la región.

El último gran huracán que golpeó Jamaica fue Beryl, a principios de julio de 2024, que dejó cuatro muertos. Pero, según los expertos, la magnitud de Melissa podría marcar un nuevo punto de inflexión en la historia climática del Caribe, una zona cada vez más vulnerable a los fenómenos extremos alimentados por el calentamiento global.

Agencias AFP y Reuters

​ El ciclón, que alcanzó la categoría 5 con vientos de hasta 270 km/h, ya provocó muertes en el Caribe y se dirige hacia Cuba y las Bahamas  El Mundo 

Leave a Comment

Deja un comentario

Tu dirección de correo electrónico no será publicada. Los campos obligatorios están marcados con *